В Петербурге планируют новый путепровод рядом с Парнасом
Власти города подготовили проект строительства дублирующего путепровода через Суздальский проспект, чтобы разгрузить существующую развязку.
19 марта, 2026, 13:35 0

Источник:
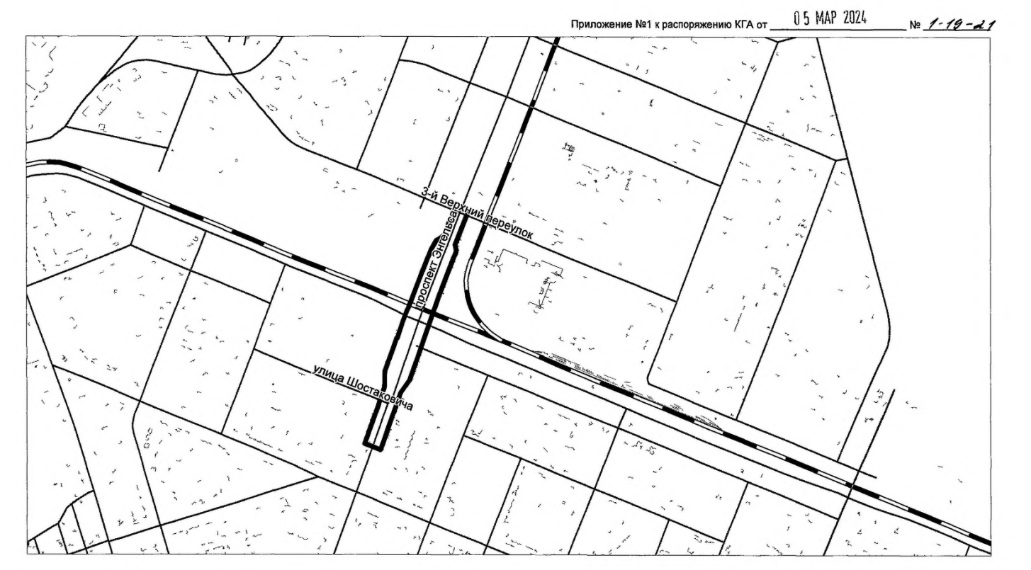
Проект планировки нового транспортного объекта в Санкт-Петербурге был обнародован на сайте Смольного 19 марта. Сооружение предполагается возвести в створе проспекта Энгельса, организовав подходы от улиц Шостаковича и Михаила Дудина. Длина запроектированного путепровода составит 1,27 км.
Как отметили в городской администрации, действующий Парнасский путепровод на пересечении Энгельса и Суздальского проспекта уже не справляется с нагрузкой. Ожидается, что новая конструкция увеличит пропускную способность узла. По расчетам проектировщиков, новый путепровод сможет пропускать 8367 автомобилей в час, а суточная интенсивность движения достигнет 5800 транспортных единиц.
Ранее вице-губернатор Николай Линченко пояснил, что планируемая модернизация по сути означает строительство дублера рядом с существующим объектом. «Это позволит разгрузить заторы, которые образуются в направлении Ново-Приозерского шоссе», — сказал он.
Параллельно разработан проект планировки для участка проспекта Энгельса, прилегающего к новой развязке. Речь идет о расширении магистрали от улицы Михаила Дудина до КАД, что обсуждалось в течение последних лет. Согласно документации, на этом отрезке длиной 2,6 километра планируется организовать движение по 6-8 полосам.
Читайте также


















